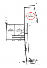
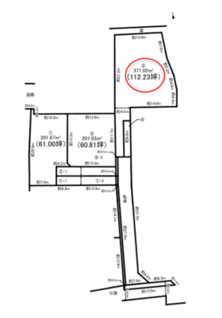
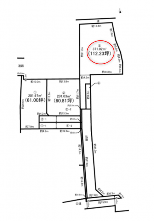
土地 前橋市下新田町3号地
所在地
前橋市下新田町3号地
1,600万円
112.23坪
■建築条件なし・お好きなハウスメーカーで家を建てられます!
■上下水道対応!
■小学校まで徒歩20分圏内!
【周辺環境】
フレッセイ:約800m(徒歩 10分)
カインズホーム:約1900m(徒歩 24分)
ベイシア:約2000m(徒歩 25分)
セブンイレブン:約900m(徒歩 12分)
月々の
支払例
支払例
万円
年
%
円
※群馬銀行/借入金1,600万円、返済期間35年、金利0.975%全期間重視コース(保証料銀行払方式※)※ 2025年2月にお借入れの場合)の場合
※審査により金利は変わる可能性があります。
物件概要
- 交通
-
上越線 新前橋駅 まで 徒歩57分
- 接道状況
- 南側 私道4m
- 土地面積
- 371.02㎡ (112.23坪)
- 建ぺい率
- 40%
- 容積率
- 80%
- 土地権利
- 所有権
- セットバック
- 無し
- 小学校区
- 新田 ( 1300m )
- 中学校区
- 箱田 ( 2500m )
- 私道負担
- あり (45.60㎡)
- 建築条件
- なし
- 地目
- 宅地
- 現況
- 更地
- 引渡時期
- 相談
- 上水道
- 公共
- 下水道
- 公共
- ガス
- プロパン個別
- 都市計画
- 市街化区域
- 用途地域
- 1種低層 (一部1種中高を含む)
- 設備・条件
- 備考
-
■水道加入金有(負担金:125,000円/20mm※設計手数料含む)
■私道負担/有(1・2号地:協定道路部分として、1号地:45.6㎡、2号地:46.7㎡を所有し、1号地・2号地相互に通行地役権を設定します)、
(1・2・3号地:位置指定道路(地番646番8、646番10)に持分各1/9あり)、
(1・2・3号地:未利用地部分(地番646番7)に持分1/9あり)
■土地④は共有下水道管埋設敷地です。各区画持分1/9を取得いただき、共同管理していただきます。
*契約制限あり。木造で地階を有しない階数が3階建以下の住宅建築計画または更地利用の方へ向けた土地販売です。 - 取引態様
- 仲介

